Skip to content
December 21, 2025

The Joerogan

stand up comic, mixed martial arts fanatic, psychedelic adventurer

  • Home
  • Boxing
  • UFC
  • Politics
  • World History
Main Menu

Author: Chris Taylor

Breaking news

A 22-year-old girl dies after undergoing plastic surgery and leaves…. See more – Read Updated

December 14, 2025 - by Chris Taylor - Leave a Comment

The vibrant life of a 22-year-old woman was tragically cut short after a routine cosmetic surgery procedure went fatally wrong, sending shockwaves through her family, friends, and local community. Known …

A 22-year-old girl dies after undergoing plastic surgery and leaves…. See more – Read Updated Read More
Breaking news

Heartbreaking News For Julia Roberts , we announce…. Read more Check the first comment – Read Updated

December 14, 2025 - by Chris Taylor - Leave a Comment

Julia Roberts, once one of the most recognizable celebrities in America, known for her radiant smile and iconic roles, appeared almost unrecognizable at 44 while filming alongside Ewan McGregor. The …

Heartbreaking News For Julia Roberts , we announce…. Read more Check the first comment – Read Updated Read More
Breaking news

At her concert, Taylor Swift’s fans left.. – Read Updated

December 14, 2025 - by Chris Taylor - Leave a Comment

When you’re on a record-breaking global tour, You have to keep performing even if you feel like you could have a cold. Taylor Swift showed her professionalism over the weekend, …

At her concert, Taylor Swift’s fans left.. – Read Updated Read More
Breaking news

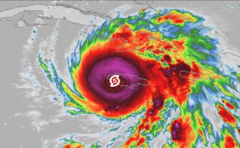
BREAKING NEWS Large Hurricane MELISSA CATEGORY 5 forming… See more – Read Updated

December 14, 2025 - by Chris Taylor - Leave a Comment

Historic Landfall in Jamaica Hurricane Melissa struck Jamaica on October 28, 2025 as a Category 5 hurricane. It made landfall near New Hope on the southwest coast of the island. Record‑Tying Intensity Melissa …

BREAKING NEWS Large Hurricane MELISSA CATEGORY 5 forming… See more – Read Updated Read More
Breaking news

EN Edition Newsner English Mom of trans child breaks silence after girls’ volleyball team forfeited, refusing to play against her Mom of trans child breaks silence after girls’ volleyball team forfeited, refusing to play against her – Read Updated

December 14, 2025 - by Chris Taylor - Leave a Comment

A California high school volleyball match has sparked major controversy after one team refused to play because the other side included a transgender athlete. Jurupa Valley High School’s girls’ squad, …

EN Edition Newsner English Mom of trans child breaks silence after girls’ volleyball team forfeited, refusing to play against her Mom of trans child breaks silence after girls’ volleyball team forfeited, refusing to play against her – Read Updated Read More
Breaking news

Bruce Willis’ wife gives huge dementia update – actor moved to “second home” – Read Updated

December 14, 2025 - by Chris Taylor - Leave a Comment

Bruce Willis is now living in a one-story home separate from his family as part of his dementia care, as per his wife, Emma Heming Willis. Speaking in a new …

Bruce Willis’ wife gives huge dementia update – actor moved to “second home” – Read Updated Read More
Breaking news

Woman hits back at older people for judging tattooed body – Read Updated

December 14, 2025 - by Chris Taylor - Leave a Comment

A young British woman is clapping back at the “older generation” who insist that when she’s 60, she’ll regret covering her body with tattoos. Though she admits she’ll never “be …

Woman hits back at older people for judging tattooed body – Read Updated Read More
Breaking news

Boy, 14, dies after injecting himself with butterfly in viral online challenge – Read Updated

December 14, 2025 - by Chris Taylor - Leave a Comment

In a shocking and tragic incident, 14-year-old Davi Nunes Moreira became the victim of a deadly internet challenge. In an attempt to gain attention, he followed a dangerous trend and …

Boy, 14, dies after injecting himself with butterfly in viral online challenge – Read Updated Read More
Breaking news

Asthma can be fatal: Remembering Ryan Gibbons – Read Updated

December 14, 2025 - by Chris Taylor - Leave a Comment

Asthma and every attack have the potential to be life-threatening. The sudden and tragic death of 12-year-old Ryan Gibbons is a stark reminder of that. Ryan was an energetic boy …

Asthma can be fatal: Remembering Ryan Gibbons – Read Updated Read More
Breaking news

The women who dared to bare – Bikini’s rise to power – Read Updated

December 14, 2025 - by Chris Taylor - Leave a Comment

One tiny garment. That’s all it took to spark outrage, bans, and even arrests across the globe. In the decades-long tug-of-war between modesty and freedom, the bikini emerged as both …

The women who dared to bare – Bikini’s rise to power – Read Updated Read More

Posts pagination

Previous 1 … 29 30 31 … 1,635 Next

Recent Posts

  • Why You Should Never Leave a Charger in an Outlet Without Your Phone – Tiny House Zone
  • Gavin Newsom Says His 9-Year-Old Son Took His Phone and Tried to Call Donald Trump – Tiny House Zone
  • Shocking Verdict: Karmelo Anthony Sentenced After Teen Football Star’s Tragic Death – Tiny House Zone
  • THE PARENTING TRUTH I NEVER BELIEVED – Tiny House Zone
  • What the Color of Your Urine Says About Your Health – Tiny House Zone

Categories

  • 2024 Paris Olympic Games
  • BBC
  • boxing
  • Breaking news
  • Donald Trump
  • Football
  • Golf
  • MMA
  • NBA
  • NFL
  • Olympic Games Paris 2024
  • Olympics
  • politics news
  • UFC
  • Uncategorized
  • Viral
  • Weather
  • WWE
Copyright © 2025 The Joerogan.
Powered by WordPress and HitMag.